茅ヶ崎市出口町 売地NO2 全6宅地 神奈川県茅ヶ崎市出口町|3,380万円の土地|センチュリー21富士ハウジング
| 価格 | 3,380万円 ![]() |
||||
|---|---|---|---|---|---|
| 所在地 | 神奈川県茅ヶ崎市出口町
この地域周辺の物件を見る |
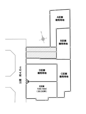
土地面積 | 100.27m² (30.33坪) | 坪単価 | 111.43万円 /坪 |
| 交通 |
JR東海道本線 辻堂 徒歩20分
|
建ぺい率 | 60 % | 容積率 | 200 % |
| 特徴 |
|
|---|---|
| セールスコメント | 当店は湘南モールフィル1階にございます。お気軽にお立ち寄り下さいませ。 |
| 建築条件 | 建築条件付 | 土地権利 | 所有権 |
|---|---|---|---|
| 現況/引渡し | 更地/相談 | 接道状況 | 接道: 東南 公道 道路幅: 4.2m |
| 私道負担面積 | - | セットバック | - |
| 地勢 | 平坦 | 地目 | 宅地 |
| 用途地域 | 第一種中高層住居専用地域 | 都市計画 | 市街化区域 |
| 法令上の制限 | 準防火地域 | 国土法届出 | 不要 |
| 取引態様 | 仲介 | ||
| 情報更新日 | 2026年04月12日 | 次回更新日 | 2026年04月26日 |
| 小学校区 | 茅ヶ崎市立松浪小学校 (神奈川県茅ヶ崎市) 神奈川県茅ヶ崎市立松浪小学校学区の他の物件を見る |
中学校区 | 浜須賀中学校 (神奈川県茅ヶ崎市) 神奈川県茅ヶ崎市立浜須賀中学校学区の他の物件を見る |
|---|
| 価格 | 万円 | ||
|---|---|---|---|
| 年利率 | % |
||
| ボーナス払い | 返済年数 | ||
| 頭金 | 直接入力する | 万円 | |

毎月のご返済額 |
ボーナス(×年2回) |
物件価格3,380万円 |
![]() |
![]() |
茅ヶ崎市出口町
3380万円〜5480万円 |
【CENTURY21富士ハウジング湘南モールフィル店取扱物件】閑静な住宅地、徒歩圏内に保育園・小学校・公園があり子育てしやすい環境です。