鎌倉市岩瀬 条件無売地 全1区画 神奈川県鎌倉市岩瀬|3,980万円の土地|センチュリー21富士ハウジング
| 価格 | 3,980万円 ![]() |
||||
|---|---|---|---|---|---|
| 所在地 | 神奈川県鎌倉市岩瀬
この地域周辺の物件を見る |
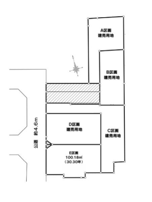
土地面積 | 245.84m² (74.36坪) | 坪単価 | 53.52万円 /坪 |
| 交通 |
JR東海道本線 大船 バス9分 今泉 停歩2分
JR横須賀線 大船 バス9分 今泉 停歩2分 湘南モノレール 大船 バス9分 今泉 停歩2分 |
建ぺい率 | 40 % | 容積率 | 80 % |
| 特徴 |
|
|---|---|
| セールスコメント | 当店は湘南モールフィル1階にございます。お気軽にお立ち寄り下さいませ。 |
| 建築条件 | なし | 土地権利 | 所有権 |
|---|---|---|---|
| 現況/引渡し | 更地/即時 | 接道状況 | 接道: 西 2.96m 公道 道路幅: 3m |
| 私道負担面積 | - | セットバック | - |
| 地勢 | 平坦 | 地目 | 宅地 |
| 用途地域 | 第一種低層住居専用地域 | 都市計画 | 市街化区域 |
| 法令上の制限 | 景観法;河川法 | 国土法届出 | 不要 |
| 取引態様 | 仲介 | ||
| 情報更新日 | 2026年04月24日 | 次回更新日 | 2026年05月08日 |
| 小学校区 | 鎌倉市立今泉小学校 (神奈川県鎌倉市) 神奈川県鎌倉市立今泉小学校学区の他の物件を見る |
中学校区 | 岩瀬中学校 (神奈川県鎌倉市) 神奈川県鎌倉市立岩瀬中学校学区の他の物件を見る |
|---|
| 価格 | 万円 | ||
|---|---|---|---|
| 年利率 | % |
||
| ボーナス払い | 返済年数 | ||
| 頭金 | 直接入力する | 万円 | |

毎月のご返済額 |
ボーナス(×年2回) |
物件価格3,980万円 |
![]() |
![]() |
鎌倉市岩瀬
3980万円 |
【CENTURY21富士ハウジング取扱物件】岩瀬中学校の敷地に隣接するとても広い土地です。ご家族のスタイルに合った住まいをご提案します。