善行坂 |藤沢の不動産のことならセンチュリー21富士ハウジング

  • 藤沢店

    0120-158-380

  • 湘南モールフィル店

    0120-989-655

  • 辻堂北口店

    0120-060-021

  • 茅ヶ崎店

    0467-73-9085

TOPページ
物件検索
善行坂 の不動産情報一覧

善行坂 の検索結果一覧

種別で絞り込む 新築一戸建て(新築一軒家) 中古一戸建て・中古住宅 中古マンション 土地・売地 投資用・収益物件
34件中1〜20件を表示
表示件数 並び順

会員限定 【会員様限定で公開中!】

WEB会員限定物件
土地 神奈川県藤沢市善行坂2丁目の土地の画像

小田急江ノ島線「善行」駅徒歩13分 全5区画の開発分譲地です。南道路で陽当り良好。小学校・スーパー・ドラッグストアも近隣に揃っています。

価格 2,380万円 
所在地 神奈川県藤沢市善行坂2丁目
交通 小田急江ノ島線 善行駅 徒歩13分
坪数 43.51坪 土地面積 143.83u
坪単価 54.7万円 建築条件 なし
建ぺい率 50.0% 容積率 80.0%
30枚  
土地 神奈川県藤沢市善行坂2丁目の土地の間取り図

善行駅徒歩13分、全5区画の開発分譲地です。南道路で日当り良好。建物プラン、建築条件外しご相談ください。

価格 2,380万円 
所在地 神奈川県藤沢市善行坂2丁目
交通 小田急江ノ島線 善行駅 徒歩13分
坪数 43.51坪 土地面積 143.83u
坪単価 54.7万円 建築条件 建築条件付
建ぺい率 50.0% 容積率 80.0%
13枚  
土地 神奈川県藤沢市善行坂2丁目の土地の画像

小田急江ノ島線「善行」駅徒歩13分 全5区画の開発分譲地です。南道路で陽当り良好。小学校・スーパー・ドラッグストアも近隣に揃っています。

価格 2,480万円 
所在地 神奈川県藤沢市善行坂2丁目
交通 小田急江ノ島線 善行駅 徒歩13分
坪数 45.26坪 土地面積 149.61u
坪単価 54.8万円 建築条件 なし
建ぺい率 50.0% 容積率 80.0%
31枚  
土地 神奈川県藤沢市善行坂2丁目の土地の間取り図

善行駅徒歩13分、全5区画の開発分譲地です。南道路で日当り良好。建物プラン、建築条件外しご相談ください。

価格 2,480万円 
所在地 神奈川県藤沢市善行坂2丁目
交通 小田急江ノ島線 善行駅 徒歩13分
坪数 45.26坪 土地面積 149.61u
坪単価 54.8万円 建築条件 建築条件付
建ぺい率 50.0% 容積率 80.0%
13枚  
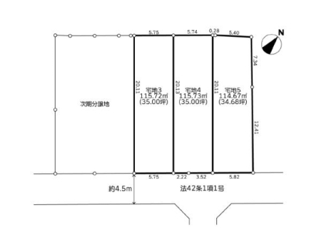
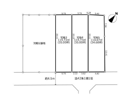
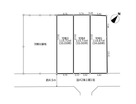
土地 神奈川県藤沢市善行坂2丁目の土地の間取り図

小田急江ノ島線「善行」駅徒歩17分 建築条件付売地 大越小学校・善行中学校区 子育てに安心な立地です 

価格 2,580万円 
所在地 神奈川県藤沢市善行坂2丁目
交通 小田急江ノ島線 善行駅 徒歩17分
坪数 35.01坪 土地面積 115.72u
坪単価 73.7万円 建築条件 建築条件付
建ぺい率 50.0% 容積率 80.0%
10枚  
土地 神奈川県藤沢市善行坂2丁目の土地の間取り図

小田急江ノ島線「善行」駅徒歩17分 建築条件付売地 大越小学校・善行中学校区 子育てに安心な立地です 

価格 2,650万円 
所在地 神奈川県藤沢市善行坂2丁目
交通 小田急江ノ島線 善行駅 徒歩17分
坪数 34.69坪 土地面積 114.67u
坪単価 76.4万円 建築条件 建築条件付
建ぺい率 50.0% 容積率 80.0%
10枚  
土地 神奈川県藤沢市善行坂2丁目の土地の間取り図

小田急江ノ島線「善行」駅徒歩17分 建築条件付売地 大越小学校・善行中学校区 子育てに安心な立地です 

価格 2,680万円 
所在地 神奈川県藤沢市善行坂2丁目
交通 小田急江ノ島線 善行駅 徒歩17分
坪数 35.01坪 土地面積 115.73u
坪単価 76.55万円 建築条件 建築条件付
建ぺい率 50.0% 容積率 80.0%
10枚  
中古マンション 神奈川県藤沢市善行坂1丁目の中古マンションの完成予想図(外観)

【CENTURY21富士ハウジング取扱物件】善行駅から徒歩8分、南西向きで日当たり良好です。スーパー・ドラッグストアは至近です。

価格 2,790万円 値下がり
所在地 神奈川県藤沢市善行坂1丁目
交通 小田急江ノ島線 善行駅 徒歩8分
間取り 3LDK
専有面積 59.67u 所在階 8階/11階建
築年月 1990年5月 建物構造 マンション/SRC造
31枚  
中古マンション 神奈川県藤沢市善行坂1丁目の中古マンションの完成予想図(外観)

小田急江ノ島線「善行」駅から徒歩8分、南西向きで陽当たり良好です。スーパー・ドラッグストアは至近です。新規リノベーションいたします。

価格 2,790万円 値下がり
所在地 神奈川県藤沢市善行坂1丁目
交通 小田急江ノ島線 善行駅 徒歩8分
間取り 3LDK
専有面積 59.67u 所在階 8階/11階建
築年月 1990年5月 建物構造 マンション/SRC造
17枚  
 
中古マンション 神奈川県藤沢市善行坂1丁目の中古マンションの完成予想図(外観)

小田急江ノ島線「善行」駅徒歩8分、最上階&最大天井高3m超えの住戸につき開放感のあるお部屋です。 2017年大規模修繕工事実施済み

価格 2,799万円 
所在地 神奈川県藤沢市善行坂1丁目
交通 小田急江ノ島線 善行駅 徒歩8分
間取り 3LDK
専有面積 79.86u 所在階 4階/4階建
築年月 1989年6月 建物構造 マンション/RC造
36枚  
中古マンション 神奈川県藤沢市善行坂1丁目の中古マンションの完成予想図(外観)

【CENTURY21富士ハウジング取扱物件】善行駅から徒歩8分。最上階、天井高3m超のお部屋なので開放感がございます。

価格 2,799万円 
所在地 神奈川県藤沢市善行坂1丁目
交通 小田急江ノ島線 善行駅 徒歩8分
間取り 3LDK
専有面積 79.86u 所在階 1階/4階建
築年月 1989年6月 建物構造 マンション/RC造
30枚  
中古マンション 神奈川県藤沢市善行坂1丁目の中古マンションの完成予想図(外観)

小田急江ノ島線「善行」駅徒歩8分 最上階のため眺望良好 2017年大規模修繕工事実施済み ペット飼育可(犬猫3匹まで) FUJI善行店(80m)は便利な徒歩1分の近さ

価格 2,799万円 
所在地 神奈川県藤沢市善行坂1丁目
交通 小田急江ノ島線 善行駅 徒歩8分
間取り 3LDK
専有面積 79.86u 所在階 4階/4階建
築年月 1989年6月 建物構造 マンション/RC造
36枚  
中古マンション 神奈川県藤沢市善行坂2丁目の中古マンションの完成予想図(外観)

「善行」駅徒歩16分 敷地内駐車場1台無料、フルリノベーションした充実した設備でペットの飼育も可(規約有) 管理体制良好なマンションです。

価格 2,980万円 
所在地 神奈川県藤沢市善行坂2丁目
交通 小田急江ノ島線 善行駅 徒歩16分
間取り 3LDK
専有面積 61.95u 所在階 7階/10階建
築年月 2002年3月 建物構造 マンション/RC造
18枚  
中古マンション 神奈川県藤沢市善行坂2丁目の中古マンションのその他現地

【CENTURY21富士ハウジング取扱物件】敷地内駐車場1台無料 フルリノベーション完了、安心のアフターサービス付き 床暖房・ディスポーザー付

価格 2,980万円 
所在地 神奈川県藤沢市善行坂2丁目
交通 小田急江ノ島線 善行駅 徒歩16分
間取り 3LDK
専有面積 61.95u 所在階 7階/10階建
築年月 2002年3月 建物構造 マンション/RC造
17枚  
中古マンション 神奈川県藤沢市善行坂2丁目の中古マンションの完成予想図(外観)

小田急江ノ島線「善行」駅徒歩14分 11階で眺望良好、遠くに海が見えます。令和7年2月リフォーム完了予定です。

価格 3,380万円 
所在地 神奈川県藤沢市善行坂2丁目
交通 小田急江ノ島線 善行駅 徒歩14分
間取り 3LDK
専有面積 60.1u 所在階 11階/12階建
築年月 1996年3月 建物構造 マンション/SRC造
19枚  
中古マンション 神奈川県藤沢市善行坂2丁目の中古マンションの完成予想図(外観)

【CENTURY21富士ハウジング取扱物件】高層階で眺望良好!南西向きで日当たり・通風も良好です。閑静な住宅地の高台に位置し、上質な生活を実現します。

価格 3,380万円 値下がり
所在地 神奈川県藤沢市善行坂2丁目
交通 小田急江ノ島線 善行駅 徒歩14分
間取り 3LDK
専有面積 60.1u 所在階 11階/12階建
築年月 1996年3月 建物構造 マンション/SRC造
33枚  
表示件数 並び順


会員の無料登録はこちら

物件をさがす

  • 売り土地特集
  • 新着物件特集
  • 値下がり物件
  • 町名から探す
  • 学区から探す
  • 条件から探す
  • マンションカタログ
Zoomでオンライン来店 詳しくはこちら

売却について

売却イメージ画像

不動産のプロが誠実にご対応します。
不動産の売却に関するお悩みは弊社にご相談ください!

中古マンション×リフォーム

リフォームイメージ画像

中古物件購入のご提案だけでなく、ワンストップでリフォームのご相談・打ち合わせが可能です!

店舗紹介

藤沢店 売買営業部

藤沢店外観写真

0120-158-380

〒251-0052
神奈川県藤沢市藤沢484-24
10:00〜19:00
定休日:毎週火曜日、水曜日

店舗紹介

湘南モールフィル店

湘南モールフィル店外観写真

0120-989-655

〒251-0042
神奈川県藤沢市辻堂新町4丁目1-1
湘南モールフィル1階
10:00〜19:00
定休日:毎週火曜日、水曜日

店舗紹介

辻堂北口店

辻堂北口店外観写真

0120-060-021

〒251-0041
神奈川県藤沢市辻堂神台
1-3-39オザワビル1階
10:00〜19:00
定休日:毎週火曜日、水曜日

店舗紹介

茅ヶ崎店

茅ヶ崎店外観写真

0467-73-9085

〒253-0056
神奈川県茅ヶ崎市共恵1-2-18
ともえ桜ビル1階
10:00〜19:00
定休日:毎週火曜日、水曜日

店舗紹介

お客様へ

不動産情報はセンチュリー21富士ハウジングにお任せください!センチュリー21富士ハウジングでは不動産情報を豊富にご用意しております。 新築戸建て・土地・マンションをお探しの方はぜひセンチュリー21富士ハウジングまでお問い合わせください。信頼あるスタッフがあなたのマイホーム探しのお手伝いをさせて頂きます。